Pasar al contenido principal
SECCIONES
logo
logo
 ingresar
logo
  • FAMA
  • DEPORTES
  • MUNDO
  • TIERRA ADENTRO
  • EL PAÍS
  • RELAX
  • FAMA
  • DEPORTES
  • MUNDO
  • TIERRA ADENTRO
  • EL PAÍS
  • RELAX
Comercial superbaner Mobil 320x50
  • Mundo

Mundo
Capriles dice que Venezuela se encuentra a las puertas de la explosión social
Clasiguía
Mundo
Uribe pide apoyo a su partido que estimula diálogo con comunidad, no con FARC

COMERCIAL - Super Banner Desktop 728x90

Mundo
Chile plantará 7.000 semillas de marihuana para uso médico
Mundo
El papa sobre el Sínodo de las familia: "Dará muchos frutos"
Mundo
El Sínodo aprueba más tolerancia a divorciados y otras situaciones familiares

COMERCIAL - Robapagina B Mobil 300x250

Mundo
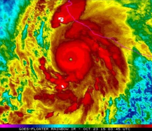
Saldo preliminar del superhuracán Patricia: sin víctimas
Mundo
Patricia se degrada a categoría 4 al seguir su avance en territorio mexicano

COMERCIAL - Robapagina C Mobil 300x250

Mundo
Francis Ford Coppola recibe Premio Princesa de Asturias
Mundo
Patricia se interna en México, aunque por ahora sin la devastación prevista
Mundo
El ojo del huracán Patricia toca tierra en el estado mexicano de Jalisco
Mundo
Sentencia a 30 años cárcel a estadounidense por narcotráfico
Mundo
Cuba insiste en que embargo de EE.UU. perjudica la calidad de su educación
Mundo
El papa: "Los tiempos cambian y los cristianos debemos cambiar continuamente"
Mundo
La costa de México se prepara para el gran huracán Patricia
Mundo
Cuba insiste en que embargo de EEUU perjudica la calidad de su educación
Mundo
Al menos 43 muertos en accidente de tráfico en Francia
Mundo
Bill Gates vuelve a ser hombre más rico del mundo
Mundo
La buena racha de Hillary Clinton
Mundo
Dj Fexter es detenido en Italia
Mundo
Canal de Panamá dice "todo indica" que ampliación operará en abril próximo
Mundo
Brotes de cólera en cinco países ponen en alerta a la OMS
Mundo
Comunicador social se corona Miss Gay Venezuela
Mundo
El papa Francisco crea un dicasterio de la familia
Mundo
"Charlie Hebdo" reactiva su página web

Paginación

  • Página anterior Anterior
  • Página 362
  • Siguiente página Siguiente

COMERCIAL - Mobil 300x600

Contenido Premium
Ver más
Adavion, al servicio de los pacientes oncológicos

Adavion, al servicio de los pacientes oncológicos

Cáncer: la actitud y la red de apoyo importan

Cáncer: la actitud y la red de apoyo importan

Hidrocefalia, afección que no se puede prevenir, aunque sí las causas que la producen

Hidrocefalia, afección que no se puede prevenir, aunque sí las causas que la producen

Planta potabilizadora de Portobelo, a la deriva

Planta potabilizadora de Portobelo, a la deriva

Contenido Premium
Salas de cine en Panamá no se dejan opacar por nuevas plataformas

Salas de cine en Panamá no se dejan opacar por nuevas plataformas

Comercial 300x250 B

Más leídas
Mueren ocho niños de entre uno y catorce años en tiroteo masivo en Luisiana (EE.UU.)

Mueren ocho niños de entre uno y catorce años en tiroteo masivo en Luisiana (EE.UU.)

Irán afirma que las negociaciones con EE.UU. avanzan, pero todavía lejos de un acuerdo final

Irán afirma que las negociaciones con EE.UU. avanzan, pero todavía lejos de un acuerdo final

Más leídas
Mueren ocho niños de entre uno y catorce años en tiroteo masivo en Luisiana (EE.UU.)
Irán afirma que las negociaciones con EE.UU. avanzan, pero todavía lejos de un acuerdo final
Previous Next

Comercial 300x250 C

Comercial 300x600 desktop

El pleque pleque secrets
¡Ellos nos tienen de payasos… pélenles el ojo!

Comercial 970x90 footer desktop

logo dia a dia
  • Siguenos en:

logo dia a dia
  • Regístrate
  • Paute con nosotros
  • Panamá América
  • Crítica
  • Día a Día
  • Mujer
  • Recetas
  • Impresos
  • Cine
Miembro de:
logo PAL
Sociedad prensa

Todos los derechos reservados Editora Panamá América S.A. - Ciudad de Panamá - Panamá 2026.

Prohibida su reproducción total o parcial, sin autorización escrita de su titular

Utilizamos cookies propias y de terceros para mejorar nuestros servicios y mostrarles publicidad relacionada con sus preferencias mediante el análisis de sus hábitos de navegación. si continúa navegando, consideramos que acepta su uso. Puede cambiar la configuración u obtener más información aquí

×